Terreno urbano de 480 m² en Corbera de Llobregat (08757)
Sobre este terreno en Corbera de Llobregat (08757)
¿Quieres construir tu casa en Corbera de Llobregat? 🏡🌿
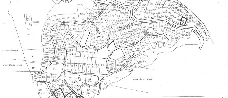
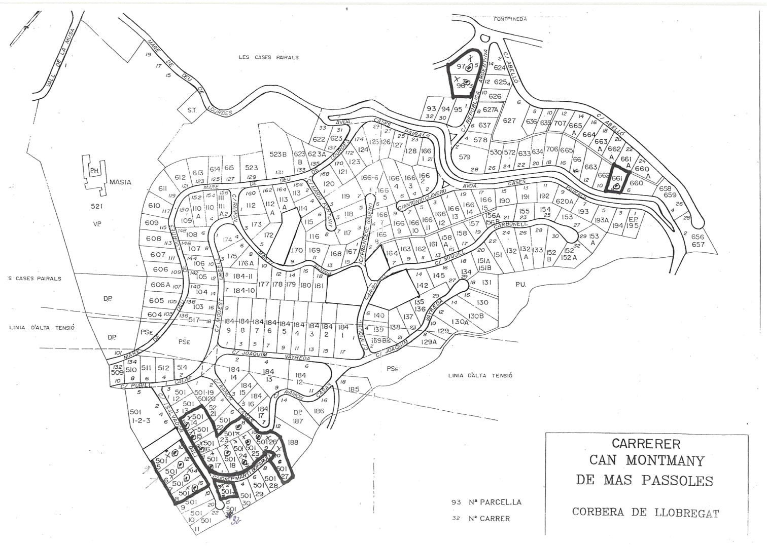
En la urbanización Can Montmany de Mas Passoles (entre Santa Maria de la Vall y Cases Pairals) tienes la oportunidad de adquirir terrenos de diferentes tipologías, superficies y precios.
Parcelas disponibles:
Urbanización Creu Aragall
• Calle Ripoll Nº 13 → 480 m² | 45.000 €
Avda. Cases Pairals
• Nº 8 → 755 m² | 60.000 €
Calle Maria Lourdes
• Nº 130 → 760 m² | 80.000 €
Calle Maria Lourdes
• Nº 130 → 760 m² | 80.000 €
Calle Miguel Balada
• Nº 10 → 732 m² | 70.000 €
• Nº 41 → 978 m² | 80.000 €
Calle Ramon Casas
• Nº 8 → 1.013 m² | 110.000 €
Calle Josep Martí Bofarull
• Nº 3 → 1.004 m² | 100.000 €
• Nº 5 → 776 m² | 90.000 €
• Nº 7 → 768 m² | 90.000 €
• Nº 9 → 801 m² | 98.500 €
• Nº 10 → 1.156 m² | 80.000 €
Calle Salvador Dalí (todas muy soleadas, con poco desnivel y muy planas):
• Nº 10 → 1.071 m² | 120.000 €
• Nº 12 → 1.079 m² | 120.000 €
• Nº 14 → 989 m² | 120.000 €
• Nº 16 → 990 m² | 120.000 €
________________________________________
Corbera de Llobregat:
Naturaleza y cercanía a Barcelona, es una localidad rodeada de montañas y zonas verdes, ideal para disfrutar de la tranquilidad y el aire puro, sin renunciar a estar muy cerca de la ciudad.
📍 A tan solo 25 km de Barcelona, se llega en 30-35 minutos en coche.
🚗 Accesos principales:
• BV-2421 → conecta con la N-340 y A-2
• BV-2425 → hacia Pallejà y la AP-7
• Cercanía a C-32 y B-24 → acceso rápido al aeropuerto y a la costa
Además, a solo 10 minutos está Sant Vicenç dels Horts con línea de Ferrocarriles hacia Plaza España.
________________________________________
Normativa urbanística (zona A.2):
• Parcela mínima: 500 m²
• Ocupación máxima: 30 %
• Altura máxima: 9,15 m
• Plantas: PB + 2
Algunas parcelas dan a dos calles, ofreciendo más posibilidades de diseño. Todas cuentan con excelente orientación, vistas despejadas y poco desnivel.
👉 Ven a visitarlas o solicita más información. ¡Haz realidad tu proyecto de vivienda en Corbera de Llobregat!
Equipos
Exterior
Este terreno se encuentra en Corbera de Llobregat (08757).


